| 제목 : 4월 12일 안녕하세호 우럭조황입니다 | ||
| 등록일 : 2026-04-12 | ||
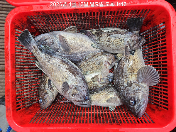
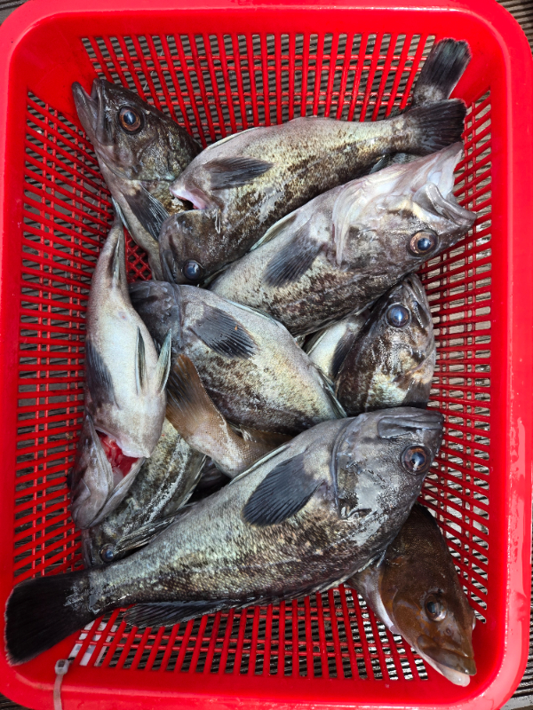
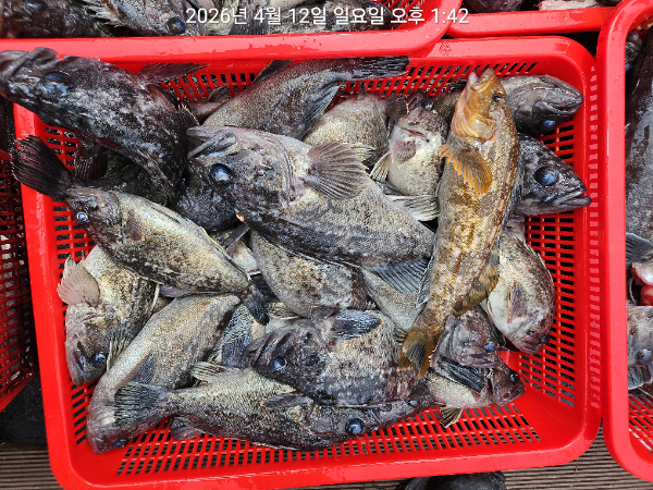
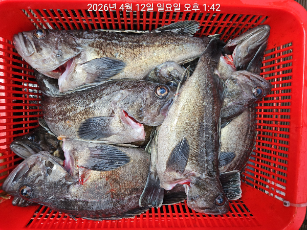
![]() ![]() ![]() ![]() ![]() ![]() ![]() ![]() ![]() ![]() ![]() ![]() ![]() ![]() ![]() 한동안 낚시 나가는 날마다 안개끼고 춥고 냉수들어오고해서 수온 떨어지니 고기가 있어도 영 반응이 없더니 오늘 날씨 좋고 수온도 좀 올라가니 우럭 좀 나와주네요 찾아주신 조사님들 모두 수고하셨습니다 감사합니다 === 헬로우피싱 안녕하세호 예약안내 === 예약문의 : 010-6753-8114 오시는길 : 충남 태안군 안면읍 방포항길 64 홈페이지 : http://hello.sunsang24.com/ |
||