| 제목 : 3월11일 안녕하세호 우럭조황입니다 | ||
| 등록일 : 2026-03-11 | ||
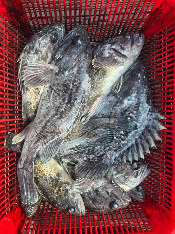
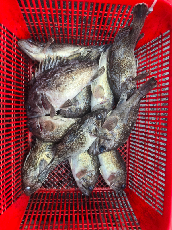
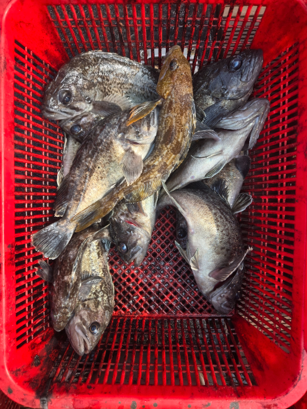
![]() ![]() ![]() ![]() ![]() ![]() ![]() ![]() ![]() 날씨가 요며칠 춥더니 수온이 살짝 떨어져서 1일보다 조과가 떨어진것 같이 느껴지네요 날이 좀더 풀리면 잘 나올것 같습니다 오늘도 찾아주신 조사님들 모두 수고하셨습니다 감사합니다 === 헬로우피싱 안녕하세호 예약안내 === 예약문의 : 010-6753-8114 오시는길 : 충남 태안군 안면읍 방포항길 64 홈페이지 : http://hello.sunsang24.com/ |
||